

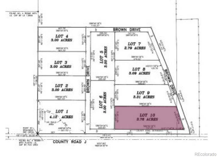
3.76 ACRE CORNER LOT WITH WATER TAP! Located in a small new development South of Wiggins off County Road J, about an hour to DIA or Greeley and 30 minutes to Jackson Lake State Park. All lots include a Morgan County Quality water tap installed, electric to the lot line + fiber optic available on the South side of the County Road. Covenants do allow for manufactured homes but must be a minimum double-wide and placed on a permanent foundation or on a basement. No HOA or METRO TAX! A $2,500 SELLER CONCESSION WILL BE OFFERED TO A BUYER AT CLOSING! Owner financing available.
Based on information submitted to the MLS GRID as of 2024-08-09 00:00:00 UTC. All data is obtained from various sources and may not have been verified by broker or MLS GRID. Supplied Open House information is subject to change without notice. All information should be independently reviewed and verified for accuracy. Properties may or may not be listed by the office/agent presenting the information.
Last Updated: . Source: RECOLORADO
Provided By
Listing Agent: Rebecca Blake (#REC40608N)
Listing Office: Berkshire Hathaway HomeServices Rocky Mountain, REALTORS (#RECGR011)
Provided By (Buyer)
Buyer's Agent: Rebecca Blake (#REC40608N)
Buyer's Office: Berkshire Hathaway HomeServices Rocky Mountain, REALTORS (#RECGR011)
